Skip to main content

HD / PennHIP / AD / OCD

Kontakt os

Vorup Dyrehospital - Randers
Din personlige dyrlæge

Bogensevej 16
8940 Randers SV
Tlf: 86 41 78 00
Denne e-mail adresse bliver beskyttet mod spambots. Du skal have JavaScript aktiveret for at vise den.

Konsultation ved dyrlægen efter aftale alle hverdage 08.00-17.00

På Vorup Dyrehospital har vi mange års erfaring i at udføre både den traditionelle HD-,AD- og OCD-røntgenfotografering samt den mere krævende PennHIP-metode, der kun må udføres af dyrlæger, der har gennemgået et specialkursus og aflagt en prøve, der certificerer den pågældende dyrlæge til at anvende PennHIP-teknikken.
Dyrlæge Heidrun Møller er PennHIP-Certificeret dyrlæge og har samtidig stor erfaring i HD-fotografering.

Der findes to metoder til belysning af en hunds HD-status ved hjælp af røntgen:

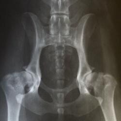
Den traditionelle HD-fotografering

Denne metode har været anvendt på verdensplan i mange årtier.
Hunden bedøves let, lægges på ryggen med benene strakt helt ud, og der tages et røntgenbillede af dens hofteled i denne position.
Herefter sendes billedet til vurdering i den respektive avlshundeklub, som hunden er registreret i.
Hunden får tildelt en HD-vurdering efter følgende skala: A,B,C,D,E, hvor A står for HD-fri og E står for svær HD.

Hunden skal være mindst 1 år gammel ved fotografering. For gigantracerne gælder dog, at de skal være fyldt 1½ år.

PennHIP-metoden

Denne patenterede undersøgelsesmetode er udviklet ved universitetet i Pennsylvania, USA for ca. 30 år siden. Metoden har været anvendt sideløbende med den traditionelle HD-fotografering i USA og bliver ligeledes anvendt  i mange andre lande herunder Danmark, hvor en del dyrlæger efterhånden har specialiseret sig i denne teknik.
Ved PennHIP-metoden undersøger man hundens hofteled for tilstedeværelse af øget løshed i leddet, idet man har påvist sammenhæng imellem øget løshed og senere udvikling af slidgigt i det pågældende led.

Hunden bedøves let, og der tages i alt 3 billeder af dens hofteled:
Et standard HD-billede som ovenfor beskrevet, et kompressions-billede hvor hofteleddet trykkes sammen, samt et distraktions-billede, hvor hofteleddet udsættes for et let press.
Udfra denne såkaldte stressoptagelse af leddene kan man måle, hvor stor hundens sandsynlighed er for at udvikle slidgigt i hofterne på et senere tidspunkt.

Metoden, som er ganske ufarlig for hundens hofteled, kan udføres fra hvalpen er fire måneder gammel.

Det skal for en god ordens skyld nævnes, at PennHIP-metoden i Danmark er et supplement til den traditionelle HD-fotografering, idet ingen hund kan avlsgodkendes i Danmark alene på en PennHIP-fotografering.
Der findes andre lande, hvor man har besluttet at lade PennHIP-fotograferingen afløse den traditionelle HD-fotografering helt, eller lade de to metoder køre sideløbende.

For visse hunderacer er der desuden krav om fotografering af deres albuer og/eller skulderled:

Albueleds-fotografering (AD)

Der findes flere forskelige fejludviklinger i albueleddet, der kan føre til albueleds-slidgigt.
Hunden skal være fyldt 1 år, før den kan få vurderet sine albuer ved en AD-fotografering. Hunden bedøves let, og der tages et billede af hvert albueled i bøjet position, mens hunden ligger i sideleje.

Albueledsdysplasi (AD) vurderes efter en skala fra 0 til 3, hvor 0 er AD-fri og 3 er svær AD.

Skulderleds-fotografering (OCD)
OCD står for osteochondritis dissecans, og beskriver en lidelse i skulderleddet, hvor en fejludvikling af ledbrusken kan medføre delvis ødelæggelse af denne og dermed risiko for senere udvikling af slidgigt i det pågældende skulderled.
Hunden skal være fyldt 1 år inden fotograferingen.
Under let bedøvelse og med hunden liggende i sideleje tages ét billede af hvert skulderled.

OCD bedømmes som enten "fri" eller "påvist".